2025 ඔක්තෝබර් 27, පෙ.ව. 11:28
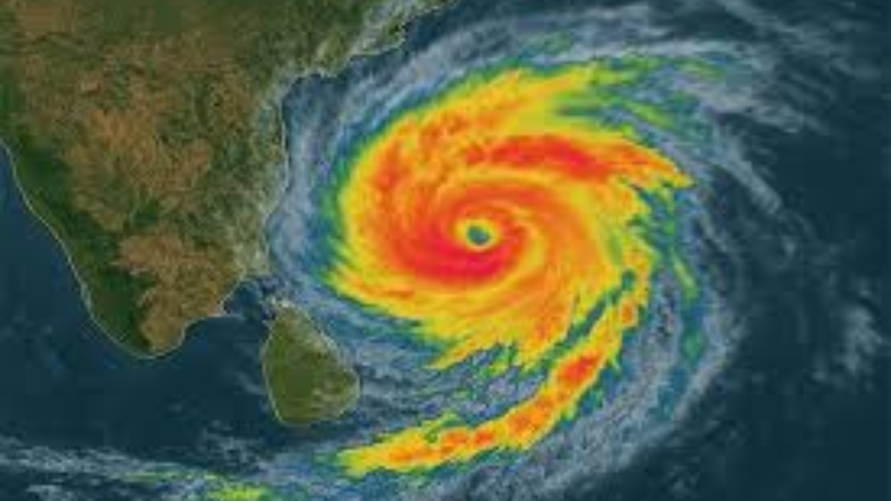
බෙංගාල බොක්ක ප්රදේශයේ ඇතිවූ ගැඹුරු පීඩන අවපාතය හේතුවෙන් ඉන්දීය කාලගුණ විද්යා දෙපාර්තමේන්තුව විසින් ඉන්දියාවේ නැගෙනහිර වෙරළ තීරයේ විවිධ ප්රාන්ත සඳහා තද වැසි අනතුරු ඇඟවීමේ නිවේදනයක් නිකුත් කර තිබෙනවා.
ඉන්දීය කාලගුණවිද්යා දෙපාර්තමේන්තුව අපේක්ෂා කර ඇත්තේ, “මොන්තා” සුළිකුණාටුව ලෙස නම් කර ඇති මෙම පීඩන අවපාතය දැනට සුළි කුණාටුවක් ලෙස හඳුනාගෙන ඇති බවත්, එය වෙරළ ආසන්නයට ගමන් කරන විට දරුණු සුළිකුණාටුවක් දක්වා වර්ධනය වනු ඇතැයිද මේ හේතුවෙන් පැයට කිලෝමීටර් 90-110ක තද සුළං ඇතිවිය හැකි බවයි.
එමෙන්ම මෙම සුළිකුණාටුව හෙට (28) දිනයේදී ඉන්දියාවේ නැගෙනහිර වෙරළ තීරයට ඇතුල් වෙනු ඇතැයිද ඉන්දීය කාලගුණ විද්යා දෙපාර්තමේන්තුව අනතුරු අඟවා ඇති අතර, මේ හේතුවෙන් ඔඩිෂා, බටහිර බෙංගාලය, තමිල්නාඩු සහ ආන්ද්ර ප්රදේශ් යන ප්රාන්තවල සමහර ස්ථානවලට තද වැසි ඇතිවිය හැකි බවත් එම දෙපාර්තමේන්තුව අනතුරු අඟවා තිබෙනවා.
තවද අධික වැසි අනතුරු ඇඟවීම් හේතුවෙන් ආන්ද්රා ප්රාන්තයේ පාසල් නිවාඩුවක්ද ප්රකාශයට පත්කර ඇති අතර, විශාකාපට්නම්, අනකපල්ලේ සහ බටහිර ගෝදාවරි දිස්ත්රික්කවල පාසල් සඳහා දින දෙකක නිවාඩුවක්ද ලබා තිබෙනවා.
ශ්රී ලංකාවේ කන්කසන්තුරය සිට ත්රිකුණාමලය හරහා මඩකලපුව දක්වා මුහුදු ප්රදේශ සඳහාත් අනතුරු ඇඟවීම්
මේ අතර, මෙරට කන්කසන්තුරය සිට ත්රිකුණාමලය හරහා මඩකලපුව දක්වා වූ මුහුදු ප්රදේශ සඳහා මෙරට කාලගුණ විද්යා දෙපාර්තමේන්තුව විසින් අනතුරු ඇඟවීමක්ද සිදුකර තිබෙනවා.
එමගින් එම දෙපාර්තමේන්තුව සඳහන් කර ඇත්තේ, ගිනිකොන දිග බෙංගාල බොක්ක සහ යාබද නිරිතදිග බෙංගාල බොක්ක ප්රදේශවල පැවැති ගැඹුරු පීඩන අවපාතය බටහිරට බරව වයඹ දෙසට ගමන් කර මොන්තා සුළිකුණාටුව දක්වා වර්ධනය වී ඊයේ (26) දින රාත්රී 11.30ට නිරිතදිග සහ යාබද ගිනිකොනදිග බෙංගාල බොක්ක ප්රදේශයට ඉහළින් අක්ෂාංශ 11.6°N සහ දේශාංශ 85.9°E ආසන්නයේ මුලතිව් සිට කිලෝමීටර් 610ක් පමණ ඊසාන දෙසින් ස්ථානගතව පැවතුණු බවයි.
තවද මෙම පද්ධතිය උතුරට බරව වයඹ දිශාවට ගමන් කරමින් හෙට (28) දින උදෑසන චණ්ඩ සුළිකුණාටුවක් දක්වා තවදුරටත් වර්ධනය වෙමින් හෙට සවස් කාලයේදී හෝ රාත්රි කාලයේදී ඉන්දියාවේ ආන්ද්රා ප්රදේශ් වෙරළ තීරය හරහා ගමන් කරනු ඇතැයි අපේක්ෂා කරන බවද මෙරට කාලගුණ විද්යා දෙපාර්තමේන්තුව අපේක්ෂා කර තිබෙනවා.
ඒ අනුව නැවත දැනුම්දෙනතුරු කන්කසන්තුරය සිට ත්රිකුණාමලය හරහා මඩකලපුව දක්වා වෙරළට ඔබ්බෙන් වන නොගැඹුරු මුහුදු ප්රදේශ ආශ්රිතව ධීවර සහ නාවුක කටයුතුවලින් වැළකී සිටින ලෙසත් කාලගුණ විද්යා දෙපාර්තමේන්තුව සියලු පාර්ශ්වයන් වෙත අනතුරු ඇඟවීමක්ද සිදුකර තිබෙනවා.
එමෙන්ම මෙරට කාලගුණ විද්යා දෙපාර්තමේන්තුව ජනතාවගෙන් ඉල්ලා ඇත්තේ, ගාල්ල සිට හම්බන්තොට හරහා පොතුවිල් දක්වා වෙරළට ඔබ්බෙන් වන නොගැඹුරු මුහුදු ප්රදේශ ආශ්රිතව ධීවර සහ නාවුක කටයුතුවල යෙදෙන ප්රජාව මේ සම්බන්ධව අවධානය යොමු කරන ලෙසයි.
2025 දෙසැම්බර් 27, පෙ.ව. 7:43
2025 දෙසැම්බර් 27, පෙ.ව. 7:40
2025 දෙසැම්බර් 27, පෙ.ව. 12:34
2025 දෙසැම්බර් 27, පෙ.ව. 12:18
2025 දෙසැම්බර් 27, පෙ.ව. 12:15
27-12-25
27-12-25
26-12-25
26-12-25
25-12-25
25-12-25
24-12-25
24-12-25
23-12-25
23-12-25
22-12-25
22-12-25
22-12-25
22-12-25
21-12-25
21-12-25
20-12-25
20-12-25
19-12-25
19-12-25
18-12-25
18-12-25
17-12-25
17-12-25